Bo Magna že oktobra začela graditi?

| v Gospodarstvo

Magna je trdno odločena, da bo že naslednji dan po izdanem gradbenem dovoljenju na lokaciji v občini Hoče - Slivnica začela graditi..

Po besedah zanesljivega vira blizu delovne skupine, ki vodi projekt gradnje Magnine tovarne na Štajerskem, je tovarna, ki bo stala v občini Hoče - Slivnica, že v izdelavi. Betonske elemente za konstrukcijo je Pomgrad, pomurski gradbinec, ki bo gradil Magnino tovarno, po besedah vira že izdelal. Tudi pokončni in prečni elementi za tovarno so že v izdelavi, saj se je avtomobilski velikan po planu B pred morebitnimi zapleti z okoljevarstvenim soglasjem zavaroval tako, da je identično rešitev predvideval na Madžarskem

Zanesljiv vir blizu Magne Steyr še trdi, da bi, v primeru zamika gradnje v Sloveniji zaradi pritožb okoljevarstvenih organizacij, tovarno na Madžarskem prav tako gradil pomurski gradbinec Pomgrad. Ovir za predhodno izdelavo konstrukcije tako ni bilo.

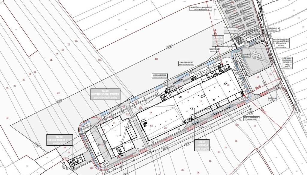
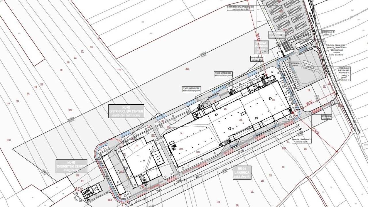
Načrte za gradnjo Magninega obrata v Orehovi vasi smo že zbrali. Več o tem, kako bo videti projekt Magna Nucleus, preberite v članku Tako bo videti načrtovana tovarna Magne na štajerskih tleh.

Kot smo danes že pisali, so na lokaciji, kjer bo zrasla zloglasna tovarna, na delu gradbeni stroji. Potekajo arheološke raziskave, obenem pa tudi priprava terena za električni priključek. Gre za gradbeniški priključek za električno energijo, za slednje pa je Magna Steyr gradbeno dovoljenje pridobila že 8. septembra letos. 

Magna bi že oktobra lahko začela graditi

Minister za gospodarstvo Zdravko Počivalšek je že pred dnevi napovedal, da bo gradbeno dovoljenje za gradnjo tovarne na Štajerskem izdano do začetka oktobra.

Po besedah vira bo Magna takoj naslednji dan po izdaji gradbenega dovoljenja pričela z gradnjo lakirnice Magna Nucleus, kar pomeni, da bomo lahko že v začetku oktobra, in ne šele prihodnje leto, kot so v Magni pred časom napovedali, priča nastajanju ene največjih investicij na Slovenskem.

Komentarji

Komentarji

Lokalno

Vse v Lokalno

Šport

Vse v Šport

Kronika

Vse v Kronika

Politika

Gospodarstvo

Scena

Slovenija

Svet

Vse v Svet

Kultura

Vse v Kultura